![]() |
|
|||||||
![]() |
||||||||
![]() ![]() ![]() ![]() ![]() ![]() ![]() ![]() |
![]() |
![]() |
![]() |
![]() |
||||
![]() |
||||||||
Tankstelle Öhringen Für diese Tankstelle haben wir ein Grundstück beschafft und ein Vorkonzept entworfen. Als erfahrenes Ingenieurbüro haben wir ebenfalls die Vermarktung für dieses Projekt übernommen. Geplante und realisierte Tankstelle:
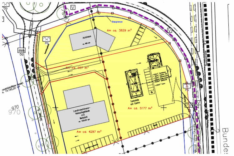
![]() ![]() ![]() ![]() ![]() ![]() ![]() (für eine vergrößerte Ansicht bitte auf das entsprechende Bild klicken) ![]() Tankstelle Ansbach-Bäumenheim an der B2 Auch bei diesem Projekt wurden wir mit der Grundstücksbeschaffung, dem Vorkonzept und der Vermarktung beauftragt. Standorterläuterungen: ![]() ![]() ![]()
![]() ![]() ![]() ![]() ![]() ![]() ![]() (für eine vergrößerte Ansicht bitte auf das entsprechende Bild klicken) |